Home » Posts tagged with » Ζωντανή μετάδοση
Νέες διαδηλώσεις σε Λονδίνο και Μαδρίτη κατά του Covid-19 (vid)

Νέες διαδηλώσεις σε Λονδίνο και Μαδρίτη κατά του Covid-19 (vid)

«Δεν συμφωνούμε»! Οι Λονδρέζοι διαμαρτύρονται για τα περιοριστικά μέτρα που έχει επιβάλλει η κυβέρνηση Τζόνσον.

Διαβάστε το άρθρο

Απεργιακές κινητοποιήσεις και διαδηλώσεις κατά Μακρόν

Απεργιακές κινητοποιήσεις και διαδηλώσεις κατά Μακρόν

ΖΩΝΤΑΝΗ ΜΕΤΑΔΟΣΗ. «Μαύρη Τρίτη» για τον Μακρόν λόγω μαζικής απεργίας και διαδηλώσεων από τέσσερα συνδικάτα. Επί ποδός η αστυνομία.

Διαβάστε το άρθρο

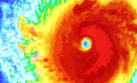
Ο τυφώνας Ίρμα πλησιάζει στις ακτές της Φλόριδας

Ο τυφώνας Ίρμα πλησιάζει στις ακτές της Φλόριδας

Ζωντανή σύνδεση με δορυφόρο (live stream). Ο καταστροφικός τυφώνας Ίρμα πλησιάζει στις ακτές της Φλόριδας.

Διαβάστε το άρθρο

Δείτε ζωντανά την πορεία του τυφώνα Ίρμα (live stream)

Δείτε ζωντανά την πορεία του τυφώνα Ίρμα (live stream)

ΖΩΝΤΑΝΗ ΜΕΤΑΔΟΣΗ. Ο κατηγορίας 5 τυφώνας Ίρμα είναι η χειρότερη καταιγίδα που έχει χτυπήσει ποτέ τα νησιά της Καραϊβικής και τη Φλόριδα.

Διαβάστε το άρθρο